Heather Goss
Il problema principale per gli scienziati che studiano l’universo è che lei è molto grande. Non possono affatto mirare ai telescopi stelle nel cielo o inviare ATV a pianeti distanti in modo che quelli arato vasti territori di milioni di chilometri quadrati. Pertanto, i ricercatori devono scegliere gli oggetti ottimali.
foto open source © flickr.com/ rarebeasts che John Grant conosce cosa e come scegliere. Questo geologo del National Aviation Museum e l’astronautica era un copresidente del comitato scientifico che aveva selezionato Gale Crater come piattaforma di atterraggio per il rover Mars della NASA Curiosità. (10 anni fa, ha anche scelto i siti di atterraggio veicoli fuoristrada Spirito e Opportunità.) “Ci sono due cose che necessario da fare quando si viaggia in un luogo specifico Marte, dice Grant. – In primo luogo, ovviamente, è necessario assicurarsi che questo luogo soddisfa le esigenze e gli obiettivi scientifici della spedizione. per La curiosità ha dovuto scegliere un posto con molti strati dentro sezione geologica in modo che il rover possa studiare le condizioni esisteva su Marte in passato quando almeno alcuni parti del pianeta erano vivibili. In secondo luogo, questi risultati deve essere inserito in un quadro globale. “Osservazioni dall’orbita marziana mostrava altri paesaggi simili al cratere Gale, e quindi una visione limitata del rover può essere estrapolata per ottenere un’idea di Marte nel suo insieme.
A questo proposito, sorge la domanda. Se esseri senzienti voleva sbarcare una nave da ricerca o un apparato sulla Terra, per scoprire il più possibile sulla nostra geologia, indipendentemente da quali luoghi diventerebbe il più informativo e caratteristico? Abbiamo chiesto diversi esperti diventano sovvenzioni John Alien e dicono noi, dov’è il cratere terrestre di Gale.
foto da fonti aperte
Fuoco e vita: Islanda © AFP 2014 / Bjorn Oddsson Scientific dipendente del dipartimento meteoriti del Museo Nazionale Smithsonian Storia naturale proposta da Brent Grocholski i geologi extraterrestri sono un posto dove puoi scoprire tutto. “Il nostro pianeta è costituito da placche tettoniche, ma vi sono anche vulcani, che alimentato dal calore proveniente dalle profondità del mantello terrestre, – dice. – Non è fantastico atterrare dove puoi trovare e zona di faglia attiva e punti caldi dell’attività vulcanica? Alieni, benvenuti in Islanda. ”
L’area di divergenza delle placche tettoniche qui è Cresta medio-atlantica che corre dalla punta meridionale Africa lungo il fondo dell’Oceano Atlantico fino alla parte sud-occidentale dell’Islanda, dove va a terra. Ci sono due placche tettoniche su questa cresta divergere lentamente ai lati, creando una fessura attraverso la quale il magma del mantello si alza e si raffredda lì, formando un nuovo Crosta terrestre. Tali creste sono ovunque sul nostro pianeta e sono principalmente sott’acqua. In Islanda, tuttavia, la ricerca l’apparato sarà in grado di osservare questo fondamentale geologico processo a terra.
L’Islanda è anche un’area di alto vulcanico attività simile a quella non sulla Terra. Il veicolo fuoristrada non sarà necessario viaggiare lontano per vedere grandi tratti di terra coperti pietra vulcanica. Troverà l’attività geotermica nella forma sorgenti minerali calde e fumarole – buchi nella crosta terrestre, gettando acqua surriscaldata che si trasforma in vapore e spesso emette anidride solforosa emessa dalle viscere della terra. Guidare lungo un terreno così accidentato non sarà facile, ma può farlo un veicolo fuoristrada esaminare fessure, crateri e calderas formati in il risultato del continuo movimento lavico sotterraneo. Potrebbe anche registrare il momento dell’eruzione perché in Islanda loro si verificano ogni pochi anni.
Se un dispositivo alieno atterra vicino al Bradfjord, che rappresenta una baia grande e poco profonda sulla costa occidentale Islanda, quindi gli alieni potranno anche imparare qualcosa sull’astrologia. Guardando il flusso e riflusso della giornata, capiranno la relazione fisica tra la Terra e il suo satellite lunare.
Foto da aperto fonti di
Profondità: Mariana Trench © Foto: University of New Hampshire Centre for Coastal and Ocean Mapping / Joint Hydrographic Centro La prima cosa che probabilmente noteranno gli astronomi alieni osservando la Terra da lontano, è che è distintamente blu e per lo più coperto d’acqua dice la geologa marina Deborah Hutchinson (Deborah Hutchinson), che lavora nel US Geological Survey. così che devi includere nell’elenco dei possibili luoghi di sbarco spazi aperti d’acqua. Ma pone la domanda: “Dove vogliono andare – ai luoghi più estremi o ai più caratteristici? “Secondo Hutchinson, luoghi estremi offriranno una visione più ampia di La terra. Le funzioni di soccorso sono più evidenti lì, i risultati sono di più impressionante e forniscono il punto finale da cui produrre misurazioni accurate.
Pertanto, gli alieni non devono schizzare a caso. must scegli un luogo specifico. Forse il posto migliore sarebbe Mariana Depressione. Il suo punto più profondo “Challenger Abyss” è Circa 200 miglia da Guam nel Pacifico occidentale. sebbene la cavità non è visibile dalla superficie, gli alieni saranno in grado di trovarlo trincea subacquea mediante mappatura del campo di gravità, Dice Hutchinson. Ecco come i veicoli spaziali GRAIL della NASA recentemente ha condotto un’indagine cartografica sulla luna. alieno i viaggiatori spaziali probabilmente hanno il necessario tecnica per resistere a forti pressioni a una profondità di 11 chilometri: otto tonnellate per pollice quadrato.
Foto da fonti aperte
© RIA Novosti, Infografica. Alexey Timatkov / Vasily Shikhachevsky / Alexey Vysokosov Mariana Trench – la fossa oceanica più profonda della Terra “Per esperienza, posso dire che la natura non ha caratteristiche e caratteristiche lineari lunghe ” – dice Hutchinson. In altre parole, sulle mappe di gravit� Le vasche oceaniche saranno chiaramente visibili. Studiandoli, gli alieni saranno in grado di farlo scopri qual è la ragione di questi lunghi dettagli in rilievo: in tettonica piastre. L’enorme grondaia è il risultato della convergenza di due piastre in zona di faglia, dove un enorme e pesante Pacifico la stufa va sotto la stufa filippina. Capire come si muovono i piatti e come questo movimento crea cavità, vulcani, montagne e terremoti, gli alieni imparano molto sulla geofisica della Terra. Resistenza all’acqua: grande canyon
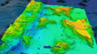
Veicolo fuoristrada inviato per studiare la storia geologica della Terra Dovresti assolutamente visitare il Grand Canyon situato in Arizona, dove il fiume Colorado gradualmente, nel corso di milioni di anni, ha tagliato pezzo di crosta terrestre. “Se gli alieni atterrano lì, vedranno una meravigliosa torta a strati che racconta la storia del nostro pianeta “, – dice il professore dell’Università di Boston Richard Murray (Richard Murray), uno scienziato di scienze della Terra.
Foto da fonti aperte
© Foto: Laura Crossey, UNM Grand Canyon degli Stati Uniti 10 volte più giovane di quanto pensassero i geologi New Mexico Karl Karlstrom, tutta la sua vita studiando questo canyon, lo definisce “uno dei più chic e laboratori geologici informativi sulla terra. “La prima cosa è il visitatore vede quanta acqua trasforma il paesaggio. il il fiume Colorado riceve acqua da un vasto territorio negli Stati Uniti occidentali e pertanto, “una visita al canyon fornirà ricche informazioni sull’erosione idrica terreno su mezzo continente “, afferma Karlström. Anche lui mostrerà che diversi tipi di rocce hanno gradi diversi resistenza all’erosione. Perfino un vulcano non è in grado di bloccare permanentemente strada per l’acqua. “Negli ultimi mezzo milione di anni durante le eruzioni i vulcani lungo i bordi della lava hanno creato più volte dighe, dice Carlstrom. – Ma ogni volta acqua indomabile rapidamente (per migliaia di anni) lavato via queste dighe “.
Raggiungere il fondo di un canyon di 1,5 km è come un viaggio in una macchina del tempo oltre due miliardi di anni fa. È quasi metà della storia della Terra di 4,5 miliardi di anni. In fondo il canyon presenta strisce di granito rosa che emergono magma freddo e congelato che è salito in superficie, quando il piatto nordamericano circa due miliardi di anni fa incappato in una catena di isole. Muovendosi lungo le pendici del canyon verso l’alto, si possono vedere rocce sedimentarie che mostrano questo circa 500 milioni di anni fa, il sito era coperto da un oceano poco profondo. Ogni strato racconterà la sua parte della storia, dall’arenaria all’alto contenuto di ferro che si è formato per circa 280 milioni di anni di nuovo su una fangosa pianura costiera (il ferro si attacca al canyon caratteristica tonalità rossastra), al calcare in cima, che ha oltre 250 milioni di anni.
foto da fonti aperte
Storia del ghiaccio: Antartide © Foto: Audrey Huerta Exploring trogoli oceanici e vulcani, gli alieni capiranno che la crosta terrestre è in costante movimento e ciò a seguito di tale movimento compaiono le caratteristiche più importanti del rilievo. Ma se atterrano sulla coperta di ghiaccio, saranno in grado di guardare alla storia.
Geochimico e petrologo Cin-Ty Lee (Cin-Ty Lee) dell’Università. Rice, definendosi “storico della Terra”, avrebbe mandato un alieno apparato su una calotta di ghiaccio, diciamo, in Groenlandia o in Antartide Ross Ice Shelf Near American Stazione di ricerca McMurdo. Lì dotato di appropriato il veicolo fuoristrada potrebbe praticare un foro al minimo punti di copertura del ghiaccio. Campioni di ghiaccio al suo interno “è come registratore del nostro pianeta. “Per milioni di anni a causa delle piogge e le nevicate formavano spessi strati di ghiaccio in cui campioni atmosferici. La neve si è gradualmente ammuffita, condensata e ha formato strati separati con le stagioni che cambiano. Analisi di impurità in questi strati possono indicare quando c’è stata un’eruzione di un vulcano. Le bolle intrappolate in una trappola di ghiaccio possono mostrare contenuto atmosfera di ossigeno, anidride carbonica e altri gas, così come i suoi cambiare nel tempo. E gli isotopi d’acqua indicheranno sbalzi di temperatura.
Foto da fonti aperte Se c’è abbastanza tempo per guardarsi intorno, un veicolo fuoristrada troverà che le piattaforme di ghiaccio ospitano enormi ghiacciai, che altrimenti scivolerebbe molto rapidamente in mare. “Gli alieni capiranno quanto seriamente i ghiacciai trasformano il paesaggio per migliaia di anni “- dice Brent Groholsky. Uno scienziato alieno intelligente lo noter� i ghiacciai sono di due tipi: montagna (formata in montagna) e continentale, che rappresenta grandi strati integrali ghiaccio continentale. Tutto questo può essere osservato e studiato in Antartide. Picchi di montagna: Everest
Indicando ospiti alieni nel punto più profondo del nostro pianeti se dovremmo inviarli anche alla montagna più alta l’alto? In effetti, l’Everest 8848 metri di altezza generosamente ricompenserà qualsiasi geologo extraterrestre.
Foto da fonti aperte “Dal momento che questo è il punto più alto del pianeta, naturalmente quello qualsiasi estraneo vuole atterrare lì “, dice Richard Murray. Ma i nostri visitatori non dovranno nemmeno sedersi proprio lì il picco. In qualsiasi punto nelle vicinanze dell’Everest, gli alieni troveranno vivida prova di come le placche tettoniche terrene si sono schiantate l’uno nell’altro. A differenza della Fossa delle Marianne, dove la più pesante la stufa passa sotto l’accendino, l’Himalaya sorse 40 milioni di anni quando due piatti leggeri, indiano ed eurasiatico, confluirono un posto, sollevando la terra. Se un dispositivo alieno rimarrà lì a lungo e misurerà periodicamente l’altezza, gli alieni noteranno che queste montagne già alte sono ferme più alto, che cresce ogni anno di 2,5 centimetri.
Ma cosa succede se il veicolo fuoristrada atterra in cima? “Gli alieni saranno un po ‘confusi”, dice Murray, ” perché ci sono fossili di mari poco profondi sull’Everest. “Fino a mentre la terra si alzava, tra due convergenti i massicci continentali erano il Mare di Teti. E dal suo il fondo era costituito da rocce chiare, a seguito di una collisione le montagne si sono formate invece di una cavità. 20 milioni di anni dopo l’inizio della formazione di questa cresta, l’acqua è sparita, ma i resti della marina gli animali rimasero e la massa da essi formata continuò a salire. “I viaggiatori alieni potrebbero chiedersi perché organici i resti sono così alti sul livello del mare, dice Murray, ma se scopriranno cosa è successo lì, capiranno sicuramente quanto è attivo geologicamente il nostro pianeta “.
Non ci si aspetta che i geologi alieni capiranno tutto questo, visitando solo cinque posti sulla Terra. Alla fine, i nostri scienziati ci sono voluti secoli per iniziare a capire di cosa si tratta – il nostro pianeta. Ma vivono qui. Ma almeno lo sar� l’inizio. E i nostri esperti confermeranno cosa studiare sulla Terra c’è ancora molto da fare.
Antartide Tempo acquatico Vulcani Vita Islanda Luna Marte Mariana NASA USA cavità Mars Rover Curiosity
